Көкшетауда стоматологияда 3 жасар қыз медициналық құралды жұтып қойды

Ештеңе етпейді, мұндай жағдайлар болып тұрады және бөгде зат өздігінен шығады деп айтқан.

 threads.com/@kam_milaa1 26 Ақпан 2026, 18:45
26 Ақпан 2026, 18:45
1033
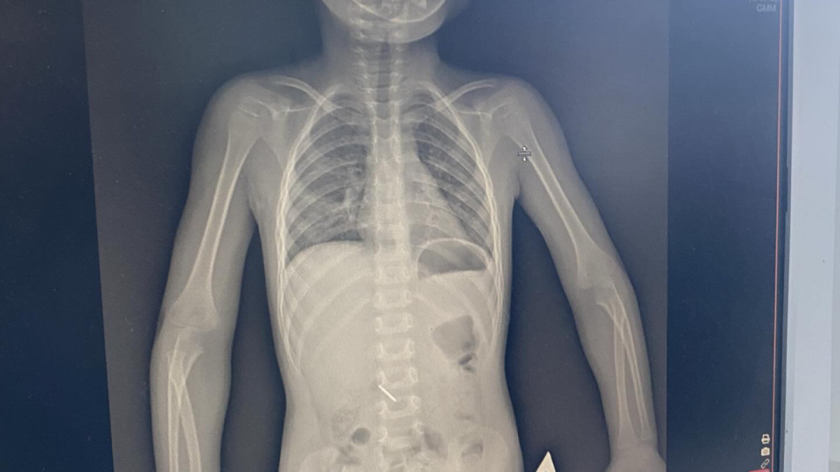
Фото: threads.com/@kam_milaa1

 

Көкшетауда жеке емханада қабылдау кезінде 3 жасар бала стоматологиялық құралды жұтып қойған. Бұл оқиға туралы баланың анасы Threads әлеуметтік желісінде жазды, деп хабарлайды BAQ.KZ тілшісі.

Оның айтуынша, тісін емдеу кезінде бала стоматологиялық бұрғыны (бор) жұтып қойған.

Бұл жағдай қабылдау кезінде болды. Бізге «ештеңе етпейді», мұндай жағдайлар болып тұрады және бөгде зат өздігінен шығады деп айтты. Шұғыл көмек ұйымдастырылған жоқ. Қызым әлі 4 жасқа да толмаған, - деп жазды әйел.

Анасы баласының өзін сабырлы ұстағанын, жылап, жұлқынбағанын айтты.

Алайда дәрігер затты өз бетінше шығарып алуға тырысқан кезде, бала жарты сағаттай жайсыз күйде болып, құсқысы келген.

Одан кейін баланың ата-анасы клиниканың шарасыздығын күтпестен көпбейінді облыстық балалар ауруханасына өздері барған.

Бірнеше күн ішінде бала екі рет рентгенологиялық зерттеуден өтіп, хирург қарауында болған және оған ФГДС (фиброгастродуоденоскопия) процедурасы жасалған.

26 ақпандағы жағдай бойынша, бөгде зат әлі табиғи жолмен шықпаған. Анасының сөзіне қарағанда, емдеуші дәрігер жеке келіп кешірім сұрамаған, ал клиника басшылығы тек емдеу ақысын қайтаруды ұсынған.

Біз үшін бұл - баламыздың өмірі үшін қорыққан, үрей мен мазасыздыққа толы сәт болды. Бір қабылдаудың құны 3 жасар баламның бастан кешкен күйзелісін өтей ала ма?, - деп атап өтті ол.

Ақмола облыстық денсаулық сақтау басқармасы баланың анасы жеке стоматологиядағы оқиғадан кейін облыстық балалар ауруханасына жүгінгенін растады.

Ведомство мәліметінше, медициналық көмек толық көлемде көрсетіліп, қажетті тексерулер жүргізілген.

Тексеру нәтижелері бойынша баланың өмірі мен денсаулығына қауіп төніп тұрған жоқ. Бала тиісті ұсыныстармен үйіне жіберілген.

Басқарма мамандары бұл стоматологиялық бөлшектің балаларды емдеуде қолдану үшін қауіпсіз әрі ағзаға улы емес екенін нақтылады.

Еске салайық, бұған дейін Астанада стоматологияда дәрі дозасын дұрыс есептемеу салдарынан 3 жасар қыз бала қайтыс болды

Сондай-ақ, Семейдегі стоматологиядан тексерілмеген медициналық құралдар табылды. 

 

Наверх